Description
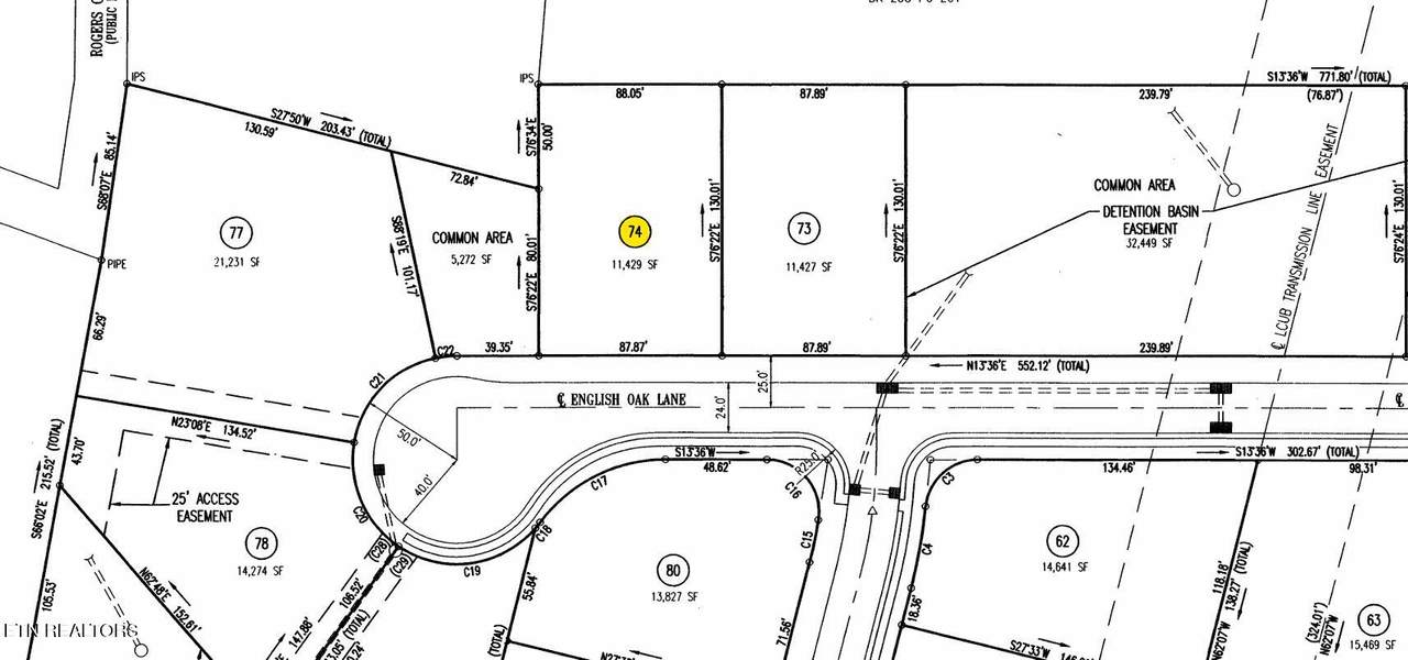
Great opportunity to build your dream home here! Basement lot with common area adjoining the left side of the property adding privacy. All utilities including water/sewer, gas & electric available. Lot is rectangular at 87.87 feet across the front and 130 feet deep. Building setbacks are... Front = 25 feet, Sides = 10 feet and Rear = 20 feet.
-
0BEDS
-
0.26ACRES
-
0BATHS
-
01/2 BATHS
School Ratings & Info
Description
Great opportunity to build your dream home here! Basement lot with common area adjoining the left side of the property adding privacy. All utilities including water/sewer, gas & electric available. Lot is rectangular at 87.87 feet across the front and 130 feet deep. Building setbacks are... Front = 25 feet, Sides = 10 feet and Rear = 20 feet.
© 2025 East Tennessee REALTORS®. All rights reserved. IDX information is provided exclusively for consumers' personal, non-commercial use and may not be used for any purpose other than to identify prospective properties consumers may be interested in purchasing. Some or all of the listings displayed may not belong to Adam Wilson Realty. Information is deemed reliable but is not guaranteed accurate by the MLS or Adam Wilson Realty. Data last updated: 2025-11-17T22:47:45.883.
