Description
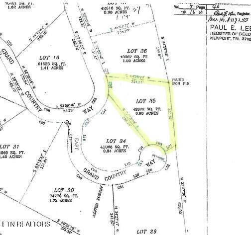
Discover your dream mountain home site in Grand Country Estates of Cosby, TN. This 0.98-acre wooded lot offers a peaceful retreat just 30 minutes from Gatlinburg's attractions. Ideal for a personal home or investment, with potential for short-term rentals, this property combines tranquility with convenience. Two additional adjoining lots are available. Aerial maps are approximate. Please refer to the survey for the most accurate representation. Call our office for more information.
-
0BEDS
-
0.98ACRES
-
0BATHS
-
01/2 BATHS
School Ratings & Info
Description
Discover your dream mountain home site in Grand Country Estates of Cosby, TN. This 0.98-acre wooded lot offers a peaceful retreat just 30 minutes from Gatlinburg's attractions. Ideal for a personal home or investment, with potential for short-term rentals, this property combines tranquility with convenience. Two additional adjoining lots are available. Aerial maps are approximate. Please refer to the survey for the most accurate representation. Call our office for more information.
© 2026 East Tennessee REALTORS®. All rights reserved. IDX information is provided exclusively for consumers' personal, non-commercial use and may not be used for any purpose other than to identify prospective properties consumers may be interested in purchasing. Some or all of the listings displayed may not belong to Adam Wilson Realty. Information is deemed reliable but is not guaranteed accurate by the MLS or Adam Wilson Realty. Data last updated: 2026-01-21T22:47:47.743.
